
(If you do not have an agent and work directly with the listing agent)
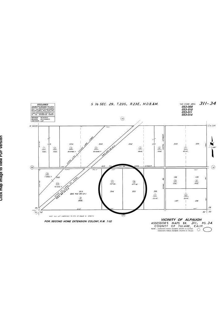
Incredible Agricultural Opportunity - 40 Acres of Prime Crop Land Unlock the full potential of these two contiguous parcels totaling 40 acres of fertile farmland in a proven agricultural region. Previously used for alfalfa production, this property offers endless opportunities for a variety of crops or ag-related ventures. Benefit from direct access to the Alpaugh Water Canal systemproviding a reliable and efficient water source to support your farming needs. Whether you're expanding an existing operation or starting fresh, this productive land is ready for your vision. Don't miss out on this rare offering in the heart of California's ag belt!
0 Avenue 56 #2 Alpaugh, CA 93201