
(If you do not have an agent and work directly with the listing agent)
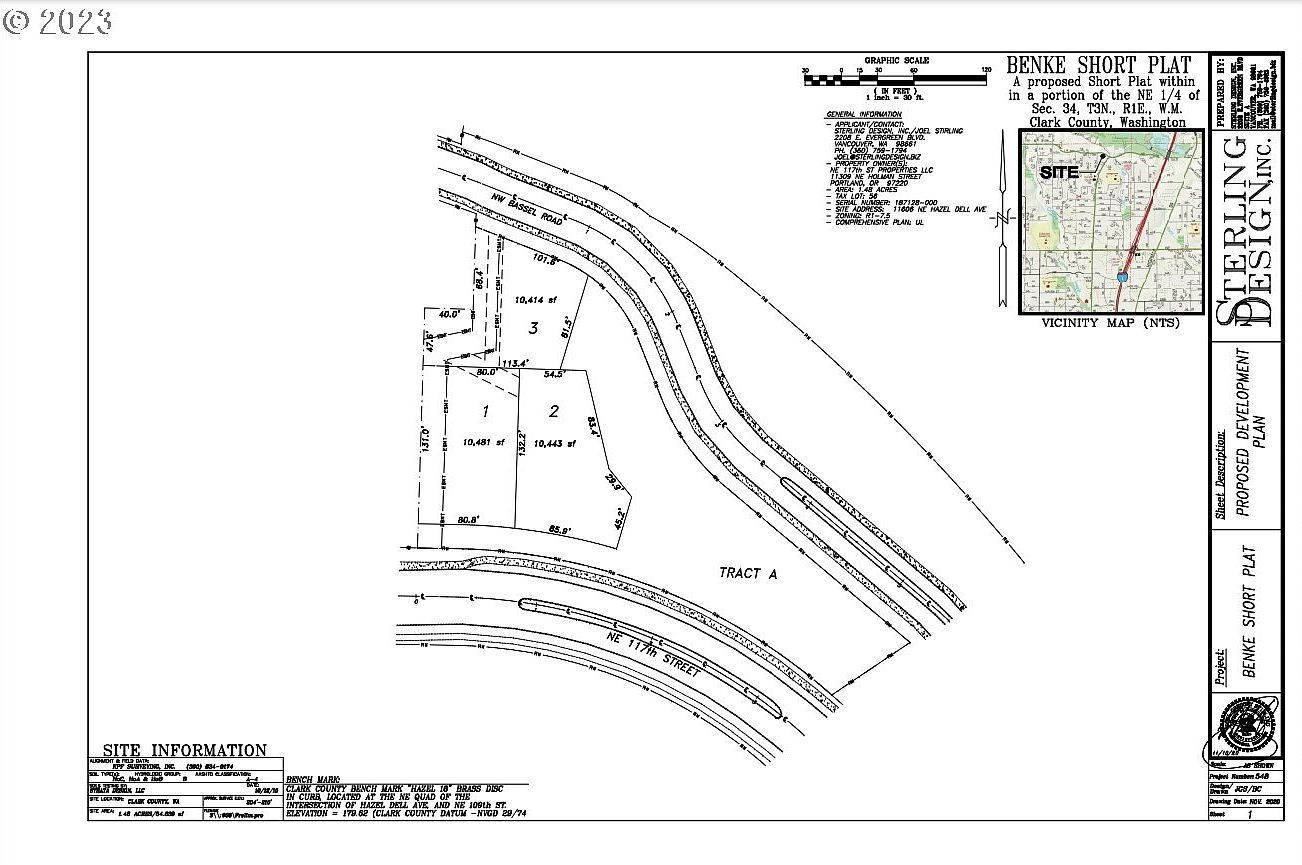
Lot in the heart of Salmon Creek - walk to the lake and trails! Close to I5, I205 and shopping, choose your plan and finishes for this fabulous location!
310 NE 117th St Vancouver, WA 98685