
(If you do not have an agent and work directly with the listing agent)
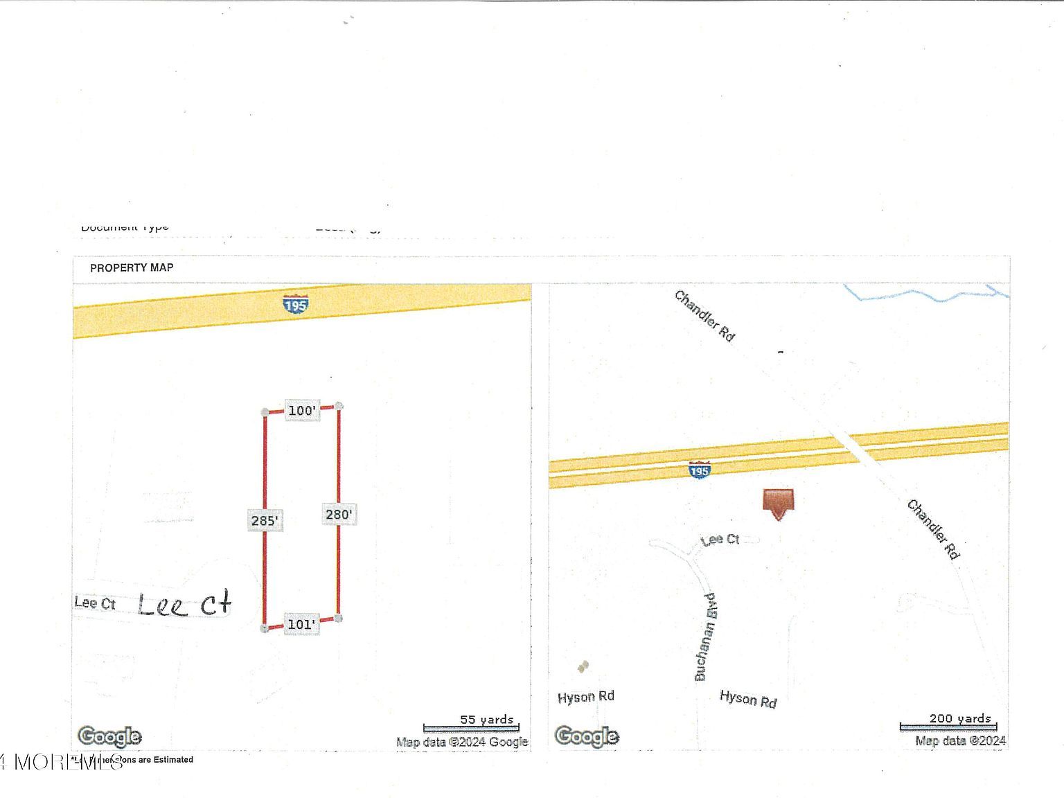
.70 Large wooded undeveloped lot located in the much-desired Jackson Township just waiting for your ideas ! This property connects with Lee Court.
0 Montefiore Ave Jackson, NJ 08527