
(If you do not have an agent and work directly with the listing agent)
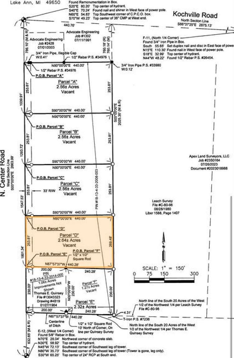
NEW BEGINNING ON NORTH CENTER! This is your opportunity to build the home of your dreams on this newly split 2.64 acre parcel of land in the heart of Kochville Township with city water at the road. This rural location offers a country feel but only minutes from the MBS International Airport as well as several restaurants and retail shops. This newly split PARCEL D will be recorded at closing. Also, the seller has obtained a transferable septic permit with acceptable requirements for an elevated septic field. The natural flow of water from the adjacent farm field drains toward the property. The survey for the lot lines legal description will be recorded at closing. Request a copy of the survey for details.
PARCEL N Center Rd #D Saginaw, MI 48604