
(If you do not have an agent and work directly with the listing agent)
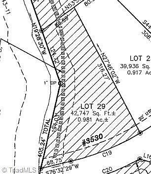
Fabulous opportunity to purchase a homesite in the sought after Autumn Creek neighborhood - bring your own builder or build to suit with ours! Buy and hold or build now - you choose! This lot backs to wooded common area and open space so there is an abundance of privacy. Includes lot 29 and off-site septic lot 29A. Min 2,700 heated sq ft homes, Northern Schools. See attached documents or call listing agent for more details!
3530 Autumn Hills Dr LOT 29/29A Summerfield, NC 27358