
(If you do not have an agent and work directly with the listing agent)
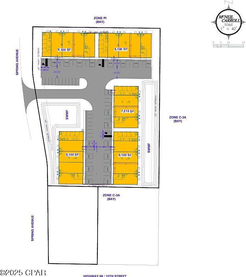
4.5 acres available. This listing is for two parcels- 14605-000-000 and 14606-000-000.Zoned C3-A which is very flexible zoning and provides opportunity for investment and financial gain.C3-A Zoning encompasses all the uses of C1 and C2 which include (but are not limited to):Retail, Transportation, Warehouses, even Waste Management (the only type of warehousing not allowed is refrigeration products and like-kind refrigeration storage), maximum building height allowed is 100 feet. See photos for diagram of the types of warehouses. Four (4) 9100 square foot warehouses, and One (1) 7215 warehouse. 43,615 total square feet for warehouses. Ample room for driveways, water retention, and parking.There is a 2186 square foot home that can be remodeled (for renting or use it as a home for management or property oversight) or demolished to provide more room for parking and/or an additional warehouse.There is an option to demolish the current granite retail store fronting 15th Street, or convert it to your own retail space. You can even utilize the retail space as a check-in for management if you decide to build a storage facility.The Boot Store was sold and is not included in the 4.5 acres.Setbacks are:25 feet off 15th Street and 5 feet off the sides. Commercial properties are to the east and west of this property.
2515 E 15th St Panama City, FL 32405