
(If you do not have an agent and work directly with the listing agent)
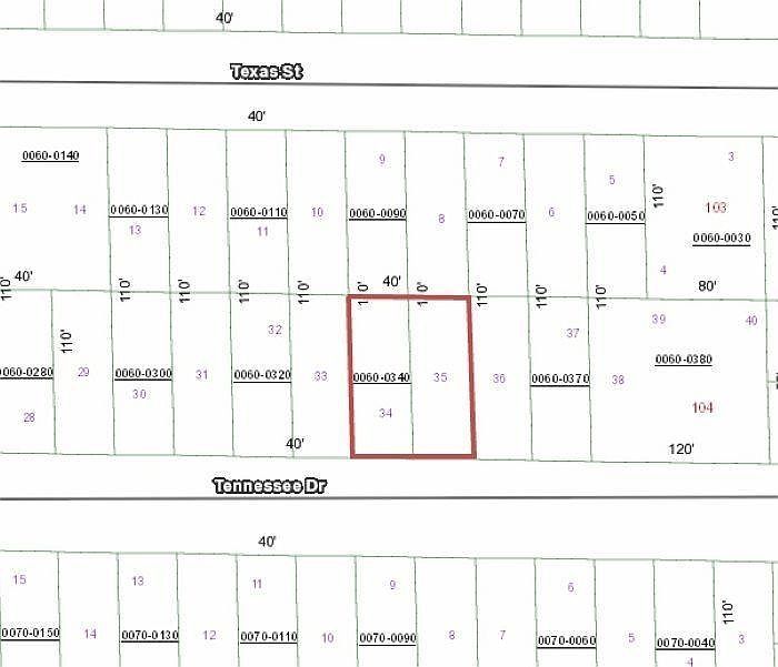
Two parcels are included in this sale,~ 112 & 114 Tennessee Drive, offering a combined total of .20 acres of land. Tucked away off a quiet dirt road, this undeveloped property is full of potential for its next owners. Whether youa??re looking to invest for the future, or bring your vision to life, this blank canvas provides the opportunity to make it your own. With its natural setting and versatile space, ita??s the perfect place to start building your next chapter.
112 & 114 Tennessee St Hawthorne, FL 32640