
(If you do not have an agent and work directly with the listing agent)
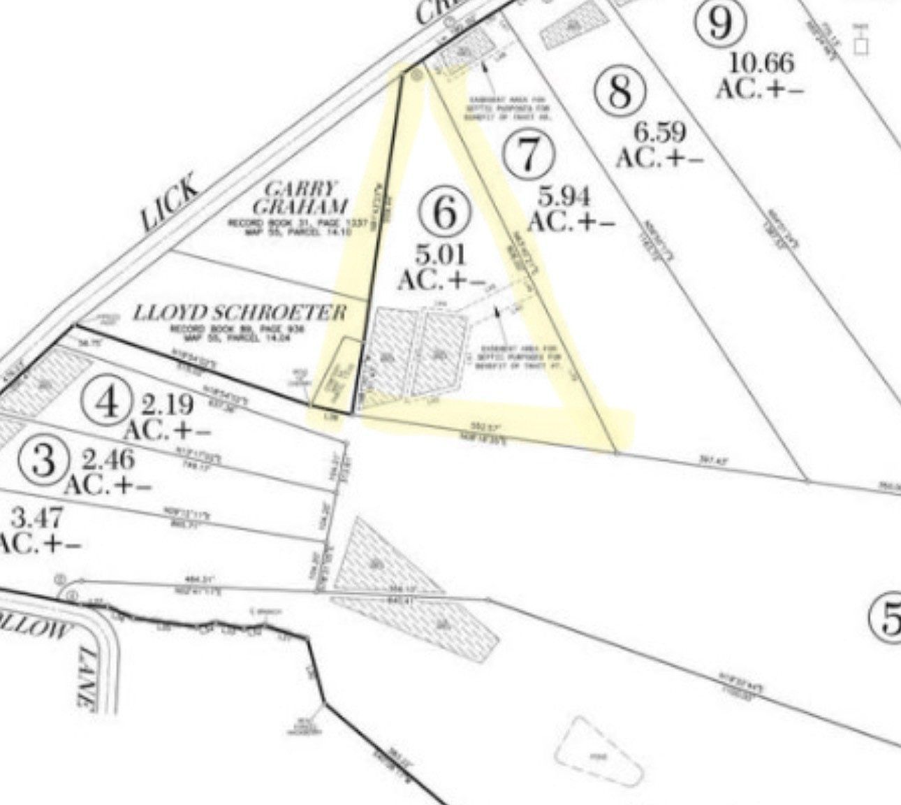
Perfect place to build that dream home! Septic approved for a 3bd septic, all utilities available. Minutes to the water for boating and fishing. Come enjoy all this property has to offer! adjoining lot 7 is for sale also
0 Salt Lick Creek Rd Lot 6 Gainesboro, TN 38562