
(If you do not have an agent and work directly with the listing agent)
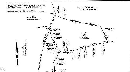
Outstanding land opportunity in desirable North Chatham County near Pittsboro. This expansive, surveyed parcel features rolling topography, mature hardwoods, and frontage along Terrells Creek. The property adjoins county park land and borders a potential future subdivision, making it perfectly positioned for development or long-term investment. Whether you're envisioning a residential community, private retreat, or strategic hold for future appreciation, this property combines natural beauty with exceptional potential. This property does not have deeded access. It needs to be purchased with another parcel or buyer needs to work on obtaining access.
0 Jones Ferry Rd LOT 2 Pittsboro, NC 27312